
(东京、台北、北京4日讯)今年第11号台风“轩岚诺”周六登陆日本冲绳县石垣市和宫古岛市,已造成当地逾4000馀户停电,2人受伤。而随著台风持续北上,台湾解除陆上警报。惟台风仍持续影响海陆空交通,新北市、台北市与台东县上千户受影响停电。
日本读卖新闻报导,轩岚诺横过台湾以东海域后,当地时间周六晚上11时袭击日本冲绳县宫古岛市与石垣市。
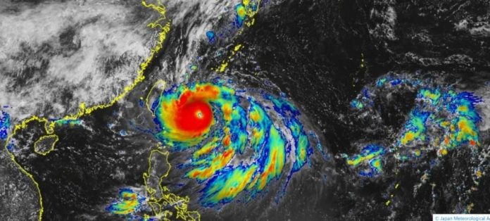
日本气象厅表示,台风轩岚诺近中心最大风速达每秒40米、最大瞬间风速每秒60米。随著台风逼近,冲绳可能有强降雨,先岛群岛将刮强风,部分房舍可能遭毁损。当局呼吁民众严防土石灾害以及河川暴涨、泛滥。
宫古岛近4千户停电 那霸市2人受伤
冲绳县政府向居住在石垣市和宫古岛市的约11万人发出避难指令,呼吁民众远离危险场所前往避难。那霸市有2名高龄民众被强风吹倒受轻伤。
气象厅预报,轩岚诺将从石垣岛一路向北移动,下周一(5日)开始从东海北上,预计下周二(6日)抵达九州地区。
冲绳电力公司表示,截至周日上午9时,宫古岛地方共有3990个家户停电,其他发生停电的地区包括冲绳本岛南部530户、冲绳本岛北部130户、八重山地方390户等。

台湾解除陆上警报 影响海陆空交通
台湾方面,轩岚诺周日持续北上,本岛已脱离暴风圈,各地发生倒树、淹水等零星灾情。
台湾当局上午11时已解除陆上台风警报;由于预测轩岚诺北上路径呈稍微偏西弧线,因此海上警报预计于当日夜后才会解除。
台湾虽然脱离暴风圈,台风仍是影响海陆空交通,其中往返马祖航班全日取消,海运10条航线停航,台铁平溪线部分路段有山泥倾泻,列车停驶致7站点受阻。
新北市、台北市和台东县等地曾有4万3000户停电,经台电抢修后,周日陆续恢复供电。
台湾气象局周日表示,台北部、东北部降雨持续,局部地区出现大雨或豪雨,其中新竹县山区可能有局部大豪雨。

向浙闽沪沿海靠近 多地关闭景区
中国方面,气象部门继续发布台风黄色预警,轩岚诺周日增强为超强台风并移入东海,将以每小时15至20公里左右的速度,向偏北方向移动,逐渐靠近浙江东北部,周日晚到周一早上在浙江近海北上。
浙江、上海、江苏、安徽一些地区雨势强劲。浙江多地旅游景区暂时关闭,旅游团取消,温州全市周一停课;上海周日暂停开放景观照明。
受轩岚诺影响,周六和周日浙江近岸海域将有巨浪到狂浪,上海近岸海域将有大到巨浪,长江口至杭州湾沿海将出现50到120厘米的风暴增水,中国国家海洋预报台将海浪警报升级为红色,同时发布风暴潮蓝色警报。
另外,浙江省将防台风应急响应提升至2级。中国国家防总办公室亦将防汛防台风应急响应提升至4级。已有两个工作组已在浙江、江苏两省协助指导做好防汛防台风工作。
中国国家防总、应急管理部要求加大对船只回港避风,坚决杜绝船舶擅自出海;要深入开展陆上风险隐患排查。